Terrain à bâtir à
Grangues (14160)
Prix du terrain
148 000 €
- Terrain de 913 m²
Référence : AL2442841
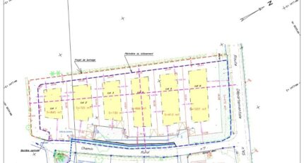
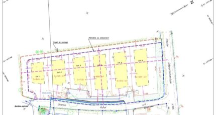
VENTE d'un terrain de 913 m² à Grangues
Grand terrain de 913 m², ce terrain se situe dans Grangues (14160). Il est orienté plein sud. Des écoles de tous types (de la maternelle au lycée) sont implantées à moins de 10 minutes en voiture, tout comme une structure d'accueil pour la petite enfance à moins de 10 minutes à pied. Niveau transports, on trouve cinq gares à moins de 10 minutes en voiture. Il y a un accès à l'autoroute A13 à 4 km. Il y a trois bibliothèques, des tennis, deux ports de plaisance, trois bassins de natation, des commerces, des supermarchés, des boulangeries, des boucheries-charcuteries et des épiceries dans les environs. 2 marchés animent le quartier.
Son prix de vente est de 148 000 €. Contactez Aurélien LEMONNIER (06-12-12-45-94) pour toute question sur ce terrain ou sur les modalités de vente.
Mentions légales
Terrain proposé par un partenaire foncier selon disponibilités et autorisation de publicité et sélectionné par le constructeur en vue de construire une maison neuve avec un contrat de construction de maison individuelle, dans le cadre de la loi du 10/12/1990. Assurances et garanties du constructeur (RC professionnelle, décennale, dommage ouvrage, garantie de remboursement de l'acompte, livraison à prix et délai convenu) : https://www.maisons-france-confort.fr/mentions-legales/. HEXAOM Services est enregistré auprès de l'ORIAS en tant que Courtier en financement, Niveau 1, sous le numéro 14001345.
Agence
Maisons France Confort
de
Deauville (14800)
14800 Deauville